Công ty Cổ phần Tạp chí Doanh nhân và Pháp luật

Siêu bão Ragasa thuộc loại 'cực mạnh', vượt qua cả Yagi

12:31 | 22/09/2025 Lượt xem: 64

Siêu bão Ragasa được Cơ quan Khí tượng Nhật Bản phân loại là bão cực mạnh, mạnh hơn một chút so với Yagi năm 2024, dự báo tối nay đi vào Biển Đông.

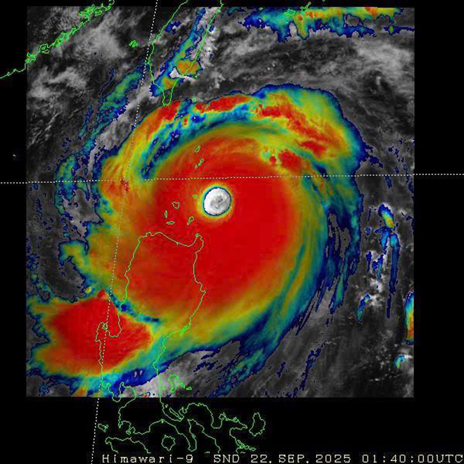
Theo Trung tâm Dự báo khí tượng thuỷ văn quốc gia, siêu bão Ragasa lúc 7h hôm nay 22/9 được Cơ quan Khí tượng Nhật Bản (JMA) phân loại là bão cực mạnh (Violent Typhoon) - cấp phân loại cao nhất đối với xoáy thuận nhiệt đới ở khu vực Tây Bắc Thái Bình Dương, với gió duy trì 10 phút đạt 110 kts (tương đương 205 km/h), mạnh hơn một chút so với siêu bão Yagi năm 2024 (105 kts).

Lúc 7h ngày 22/9, vị trí tâm siêu bão Ragasa cách đảo Luzon (Philippines) khoảng 160km về phía Đông Bắc. Sức gió mạnh nhất vùng gần tâm bão mạnh cấp 17 (202-221km/giờ), giật trên cấp 17. Di chuyển theo hướng Tây Tây Bắc với tốc độ khoảng 20km/h.

Dự báo khoảng tối nay, siêu bão Ragasa di chuyển vào Biển Đông và trở thành cơn bão thứ 9 trên khu vực biển này trong năm 2025. Sau đó, siêu bão di chuyển nhanh, khoảng 20km/h, cường độ siêu bão cực đại có thể đạt cấp 16-17, giật trên cấp 17 trong ngày 22-23/9 khi còn trên Biển Đông.

Siêu bão Ragasa được Cơ quan Khí tượng Nhật Bản (JMA) phân loại là bão cực mạnh. (Nguồn: NCHMF)

Siêu bão Ragasa được Cơ quan Khí tượng Nhật Bản (JMA) phân loại là bão cực mạnh. (Nguồn: NCHMF)

Trong ngày 24/9, bão khả năng suy yếu. Đến khoảng sáng sớm 25/9, bão sẽ vượt qua khu vực bán đảo Lôi Châu (Trung Quốc) và di chuyển vào vịnh Bắc Bộ với cường độ mạnh cấp 12-14, giật cấp 15-16. Dự báo trong ngày 25/9, bão sẽ di chuyển vào đất liền nước ta, trọng tâm là khu vực từ Quảng Ninh đến Hà Tĩnh.

Tác động của siêu bão Ragasa, vùng biển phía Đông khu vực Bắc Biển Đông gió mạnh dần lên cấp 8-9, sau tăng lên cấp 10-14, vùng gần tâm siêu bão đi qua cấp 15-17, giật trên cấp 17, sóng biển cao trên 10m, biển động dữ dội.

Như vậy, chỉ trong 1 tháng (từ 20/8 đến 21/9), Biển Đông đón 4 cơn bão gồm bão số 5 (Kajiki), bão số 6 (Nongfa), bão số 7 (Tapah), bão số 8 (Mitag) và tối nay siêu bão số 9 Ragasa sẽ đi vào khu vực biển này. Trong đó, cơn bão số 5 và số 6 ảnh hưởng trực tiếp đến nước ta, dự báo bão số 9 cũng đổ bổ đất liền Việt Nam.

Dự báo từ nay đến 20/10, Biển Đông khả năng xuất hiện 2-3 cơn bão, áp thấp nhiệt đới và có thể ảnh hưởng đến đất liền nước ta từ 1-2 cơn.

Cũng trong 1 tháng này, mưa diên rộng có thể xuất hiện, tập trung trong thời kỳ đầu tại Bắc Bộ và Thanh Hóa, các tỉnh từ Nghệ An phía Bắc Khánh Hòa khả năng xuất hiện một số đợt mưa lớn diện rộng. Các khu vực khác nhiều ngày mưa rào và dông, trong đó, một số ngày có thể xảy ra mưa vừa, mưa to.

Không khí lạnh khả năng bắt đầu xuất hiện từ cuối tháng 9 nhưng cường độ còn yếu và hoạt động chưa ổn định nên chưa gây biến đổi đáng kể về chế độ nhiệt độ tại các tỉnh miền Bắc.

Nguồn: VTC NEWS

Tin liên quan

Bộ trưởng Lương Tam Quang nêu 3 đồng thuận lớn tại phiên bế mạc Lễ mở ký Công ước Hà Nội, khẳng định hợp tác vì hòa bình, an ninh mạng và phát triển bền vững.

12:31 | 22/09/2025

Sáu tháng – quãng thời gian chưa dài, nhưng đủ để ghi dấu hành trình định hình bản sắc của Trung tâm Trọng tài Thương mại Quốc tế Tiền Giang (TGAC) – một tổ chức trẻ, năng động, đang dần khẳng định vị thế trong lĩnh vực giải quyết tranh chấp thương mại tại Việt Nam.

12:31 | 22/09/2025

Tuyến bờ kè ven sông Hàn ở Đà Nẵng bị sóng to, gió lớn công phá; vỉa hè đường Như Nguyệt chạy doc theo khúc sông gần cầu Thuận Phước bị phá tan hoang.

12:31 | 22/09/2025

Tại dự thảo Luật Báo chí (sửa đổi), Chính phủ đề xuất quy định kênh nội dung của cơ quan báo chí trên không gian mạng là sản phẩm báo chí.

12:31 | 22/09/2025

Tổng Bí thư Tô Lâm và Phu nhân cùng đoàn đại biểu cấp cao Việt Nam sẽ thăm chính thức Bulgaria từ ngày 22-24/10/2025.

12:31 | 22/09/2025

Tin mới nhất

    Hưởng ứng Ngày Pháp luật Việt Nam (9/11), Đoàn Thanh niên Đoàn Luật sư TP.HCM đã phối hợp với Trung tâm GDNN – GDTX Thành phố Thủ Đức tổ chức Phiên tòa Giả định với chủ đề “Pháp luật học đường – Nói không với bạo lực”, nhằm tuyên truyền, giáo dục ý thức thượng tôn pháp luật cho học sinh, sinh viên trên địa bàn Thành phố.
    27/10/2025
    Vietjet được vinh danh “Doanh nghiệp xuất sắc nhất ngành du lịch Đông Nam Á” tại Giải thưởng Doanh nghiệp ASEAN (ASEAN Business Awards – ABA) 2025.
    27/10/2025
    Sáng 27/10, giá vàng thế giới được niêm yết trên Kitco ở mức 4.077 USD/ounce, giảm 34 USD/ounce so với đầu giờ sáng qua.
    27/10/2025
    Người phụ nữ Hà Nội nhập viện trong tình trạng mệt mỏi, chán ăn, buồn nôn do gan bị tổn thương sau khi tự mua thuốc và thực phẩm chức năng trên mạng.
    27/10/2025
    Biết việc pha chế, trộn nguyên liệu để sản xuất cà phê giả là vi phạm pháp luật nhưng Nguyễn Văn Hạnh vẫn giúp sức chủ doanh nghiệp.
    27/10/2025
    Số ca mắc các bệnh về đường hô hấp đang có xu hướng tăng nhanh ở TP.HCM, nhiều ca bệnh nặng phải thở máy khiến bệnh viện rơi vào tình trạng quá tải.
    27/10/2025
    Giả vờ mua vé số rồi xin số điện thoại để "chia thưởng", người phụ nữ ở Tây Ninh lợi dụng sơ hở giật điện thoại của người đàn ông khuyết tật ngồi xe lăn.
    27/10/2025
    Bộ trưởng Lương Tam Quang nêu 3 đồng thuận lớn tại phiên bế mạc Lễ mở ký Công ước Hà Nội, khẳng định hợp tác vì hòa bình, an ninh mạng và phát triển bền vững.
    27/10/2025
    Sáu tháng – quãng thời gian chưa dài, nhưng đủ để ghi dấu hành trình định hình bản sắc của Trung tâm Trọng tài Thương mại Quốc tế Tiền Giang (TGAC) – một tổ chức trẻ, năng động, đang dần khẳng định vị thế trong lĩnh vực giải quyết tranh chấp thương mại tại Việt Nam.
    27/10/2025
    Mỡ máu cao là mối đe dọa sức khỏe nghiêm trọng, có thể dẫn đến các biến chứng nguy hiểm.
    25/10/2025
    Bất kể ở đâu, người điều dưỡng tận tâm với nghề vẫn lao vào giành lại sự sống cho những đứa trẻ giữa ranh giới sinh tử.
    25/10/2025
    Sau khi nhận vàng nhập lậu từ Trung Quốc, Trần Thị Hoàn chỉ đạo nhân viên, người thân dùng đèn khò xoá chữ viết, ký hiệu rồi cắt nhỏ, bán cho các khách hàng.
    25/10/2025
    Các đối tượng không có bằng cấp y khoa, có trường hợp từng học trung cấp thú y nhưng vẫn giả danh bác sĩ, trực tiếp tiêm, truyền dịch cho bệnh nhân.
    25/10/2025
    Sáng ngày 25/10, giá dầu WTI ở mức 62,29 USD/thùng, tăng 0,50 USD/thùng, giá dầu Brent của Mỹ ở mức 66,46 USD/thùng, tăng 0,47 USD/thùng.
    25/10/2025
    Sáng 25/10, giá vàng trong nước giảm 1 triệu đồng/lượng, còn giá vàng thế giới được niêm yết trên Kitco ở mức 4111,20 USD/ounce, giảm 14,2 USD/ounce so với hôm qua.
    25/10/2025
    Tuyến bờ kè ven sông Hàn ở Đà Nẵng bị sóng to, gió lớn công phá; vỉa hè đường Như Nguyệt chạy doc theo khúc sông gần cầu Thuận Phước bị phá tan hoang.
    23/10/2025
    Lực lượng chức năng tỉnh Nghệ An đã bắt giữ kẻ dùng dao đâm nhiều người bị thương trong đó có y bác tại Bệnh viện sản nhi Nghệ An.
    23/10/2025
      Một tháng chịu đau ngực, ra mồ hôi trộm về đêm, cô gái 23 tuổi nghĩ do stress, đi khám mới biết mắc u lympho ác tính giai đoạn sớm.
    23/10/2025
    Người bệnh 21 tuổi đến viện khám vì không có kinh, phát hiện bộ nhiễm sắc thể 46,XY và tinh hoàn ẩn, không có tử cung.
    23/10/2025
    Tổng giám đốc Công ty Cổ phần Du lịch Cáp treo Vũng Tàu Đậu Thế Anh bị cáo buộc chỉ đạo đổ chất thải san lấp trái phép tại dự án Thủy cung Hòn Ngưu.
    23/10/2025
    Ông Phạm Thiếu Hoa, Chủ tịch Vinhomes, vừa được bổ nhiệm là Tổng Giám đốc VinSpeed - công ty về xây dựng công trình đường sắt thuộc Tập đoàn Vingroup.
    23/10/2025
    Giá vàng biến động liên tục thời gian gần đây khiến nhiều nhà đầu tư băn khoăn việc có nên mua lúc này hay không.
    23/10/2025
    Tại dự thảo Luật Báo chí (sửa đổi), Chính phủ đề xuất quy định kênh nội dung của cơ quan báo chí trên không gian mạng là sản phẩm báo chí.
    23/10/2025
    Lô Lô Chải, một ngôi làng nhỏ bé nằm nép mình dưới chân núi Rồng hùng vĩ, thuộc xã Lũng Cú, Tuyên Quang, từ lâu đã được mệnh danh là "làng cổ tích" nơi địa đầu Tổ quốc. Chỉ cách Cột cờ Quốc gia Lũng Cú khoảng 1km, Lô Lô Chải không chỉ là điểm đến đầy cảm xúc mà còn là nơi lưu giữ những giá trị văn hóa độc đáo dân tộc Lô Lô, trở thành một điểm sáng trong mô hình du lịch cộng đồng bền vững trên Cao nguyên đá Đồng Văn. Vẻ đẹp nguyên sơ, kiến trúc truyền thống đặc trưng cùng nếp sống hiền hòa của người dân đã tạo nên sức hút khó cưỡng cho bất kỳ ai đặt chân đến miền đất cực Bắc tổ quốc.
    22/10/2025
    Trong bức tranh nông nghiệp Việt Nam hiện đại, nơi công nghệ, đổi mới sáng tạo và xu hướng “xanh hóa” đang trở thành xu thế tất yếu, có một lực lượng âm thầm nhưng mạnh mẽ góp phần định hình tương lai bền vững – đó là những nữ doanh nhân tiên phong trong phát triển nông nghiệp hữu cơ.
    22/10/2025
    Tổng Bí thư Tô Lâm và Phu nhân cùng đoàn đại biểu cấp cao Việt Nam sẽ thăm chính thức Bulgaria từ ngày 22-24/10/2025.
    22/10/2025
    Liên quan vụ nghi phóng hỏa ở Gia Lai, nạn nhân nhỏ tuổi nhất bé T. - 5 tuổi - đang điều ở Bệnh viện Nhi đồng 1, TP.HCM, với tình trạng bỏng nặng, phải thở máy.
    22/10/2025
    Trần Như My cùng Phó Tổng Giám đốc và kế toán trưởng Công ty Vàng Việt Nam bị đề nghị truy tố về tội Vi phạm về kế toán gây hậu quả nghiêm trọng.
    22/10/2025
    Trần Thị Hoàn, chủ Công ty vàng bạc đá quý Hoàn Huế, bị cáo buộc mua hơn 500kg vàng được nhập lậu từ Trung Quốc, trị giá hơn 1.000 tỷ đồng.
    22/10/2025
    Sau 1 tháng mở bán vé tàu Tết Bính Ngọ 2026, đã có 64.200 vé được tiêu thụ và hiện chỉ còn khoảng 2.500 vé đi suốt trong những ngày cao điểm.
    22/10/2025
    icon up